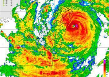
社會 凱米持續增強 7/23-7/24上午10時全臺最大雨量在太平山降下344.0毫米 記者陳木隆∕綜合報導 第3號颱風凱米,24日10時的中心位置在北緯23.7度、東經123.1度,也就... 2024-07-24