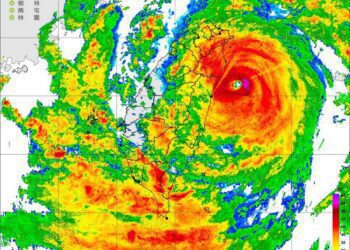
生活 影音∕凱米持續增強 7/23-7/24上午10時全臺最大雨量在太平山降下344.0毫米 記者陳木隆∕綜合報導 氣象署直播畫面 第3號颱風凱米,24日10時的中心位置在北緯23.7度、東經1... 2024-07-24
生活 澧饗餐旅蔡政豪董事長看好國內外觀光潛力 佈局全台 搶攻高CP大眾旅遊市場 記者陳欣欣 / 綜合報導 澧饗餐旅「澧饗餐旅HotelLeisureGroup」創辦人暨董事長蔡政豪... 2024-07-23
生活 「漢光演習」期間桃園機場周邊空域管制暫停起降 預估7/25上午航班將受影響 生活中心/綜合報導 國軍漢光40號實兵演習,將於桃園國際機場及週邊地區進行操演,交通部民用航空局已配... 2024-07-23